новая Церковь и богадельня в пюхтицком монастыре, куремяэ, эстония
Сакральные сооружения
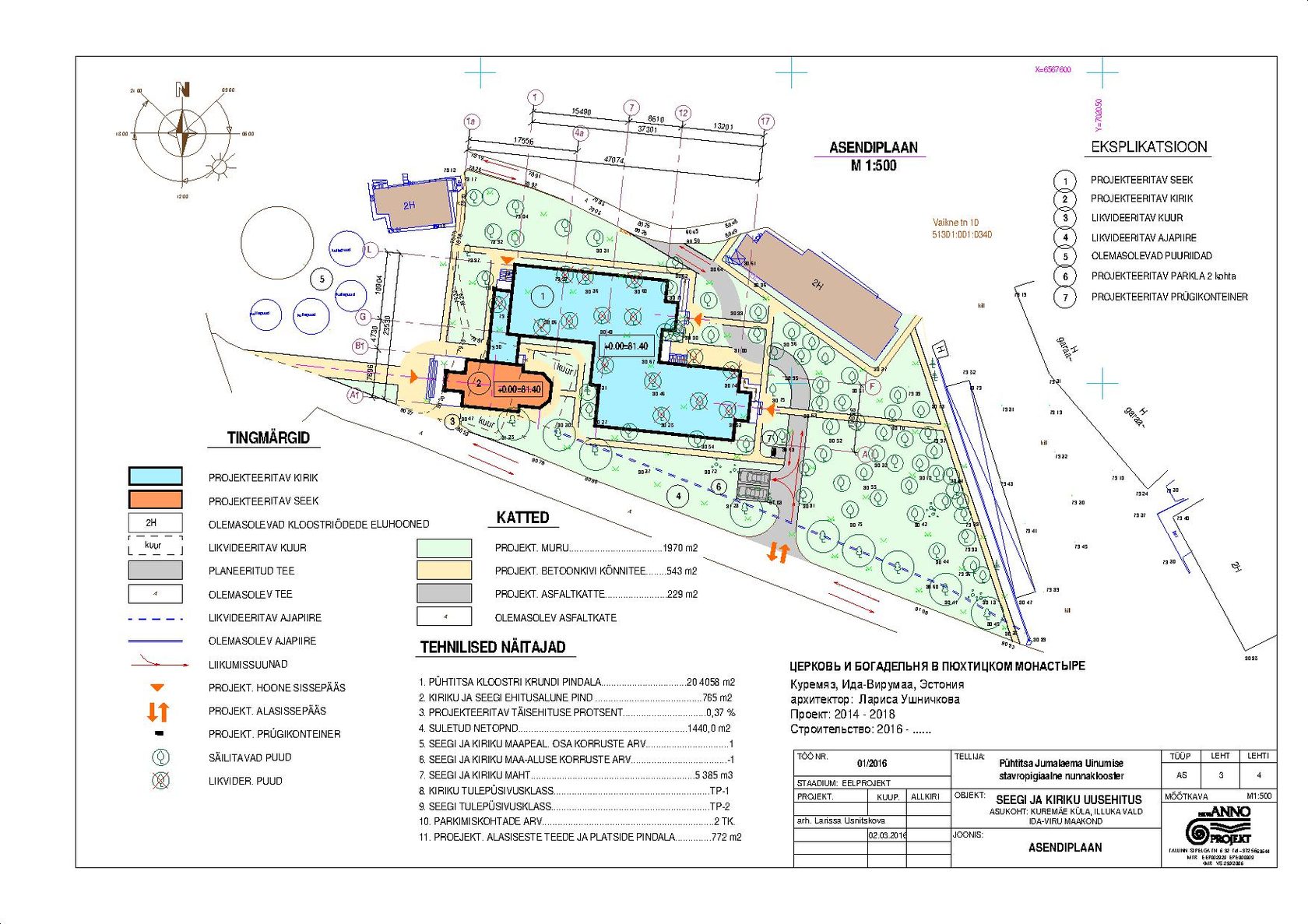
Название: Богадельня и церковь
Проект: 2014 - 2018
Строительство: Богадельня 2016 - 2018
Церковь и галерея 2016 - 2024
Месторасположение: Куремяэ, Эстония
Общая площадь: 1720 м²
Заказчик: Пюхтицкий монастырь
Архитектор: Лариса Ушничкова
Инженеры: Юрий Сари, Рейн Ютс
Церковь и богадельня во имя святителя Алексия и великомученицы Варвары.

В 2016 году в центре исторического подворья Пюхтицкого монастыря начались строительные работы, и за несколько лет были возведены здание богадельни и церковь во имя святителя Алексия и великомученицы Варвары.

Торжественная закладка первого камня в основание церкви состоялась 29 августа 2016 года. Строительство богадельни было завершено в 2018 году. 17 декабря 2023 года митрополит Таллинский и всея Эстонии Евгений освятил новопостроенный храм.

Архитектором храма и богадельни стала Лариса Ушничкова. Согласно проекту высокая каменная церковь и одноэтажная деревянная богадельня соединены между собой узорчатой галереей и общим высоким каменным цоколем, представляя собой единый архитектурный комплекс. Новые строения во многом повторяют детали и силуэт уже существующих построек, поэтому органично вписываются в исторический монастырский ансамбль, сложившийся уже более ста лет назад.

По замыслу архитектора в качестве прообраза для нового храма была выбрана Успенская церковь, считавшаяся на рубеже 19-20 веков главным храмом Пюхтицкого монастыря. В 1892 году по проекту архитетора М. Т. Преображенского ее перестроили из бывшей кирхи, а в 1908 году полностью разобрали.

В отличие от первоначальной Успенской церкви, имевшей внушительные размеры, новый храм 21-го века сравнительно небольшой, так как сегодня у строения другое функциональное предназначение - он построен для чтения псалтыря. Именно поэтому Л. Ушничкова, сохранив первоначальный образ, решила придать храму иной масштаб. Были использованы новые архитектурные формы и детали, применена другая отделка, но при этом бережно сохранена основная идея и стилистика храма древнерусского деревянного зодчества.

Важной особенностью вновь построенной церкви являются и пропорции храма, рассчитанные архитектором по древнерусским саженям, знания о которых были практически утеряны еще до начала 19-го столетия. Сегодня специалисты вновь возвращаются к опыту древнерусских зодчих и доказывают, что объекты, построенные по золотым русским саженям, обладают особыми эстетическими свойствами, гармоничны и долговечны, а также благостно влияют на людей и окружающее пространство.

Здание богадельни состоит из двух корпусов-крыльев, в центре которых расположена  большая светлая трапезная комната с красивым видом на новый храм, а также удобная кухня с хозяйственными помещениями. Вдоль каждого крыла тянутся коридоры, по обеим сторонам которых расположены жилые комнаты. В здании богадельни 12 жилых келий, в каждой из которых проживают две сестры обители. По коридору можно пройти не только в трапезную, но и по галерее - в церковь.

Важно, что в новой богадельне созданы современные и комфортные условия для проживающих здесь пожилых людей с ограниченными возможностями. Просторные жилые помещения, а также широкие соединительные коридоры спроектированы с учетом удобного перемещения на инвалидной коляске.

Конфигурация здания богадельни продумана так, что из окна каждой кельи открывается красивый вид на главный Успенский собор, Трапезную церковь или же на парковые деревья и растущий за окнами яблоневый сад.